Empower medical writers and study teams with intelligent automation
that transforms how clinical trial documents are created, reviewed, and finalized.
The Future of Authoring is Here
Writing protocols, SAPs, or CSRs shouldn’t take weeks. Document Authoring uses state-of-the-art LLMs to rapidly generate drafts aligned to your templates, references, and organizational standards - cutting authoring timelines by up to 60%.

Key Benefits
Product Features
Knowledge Base for Precision
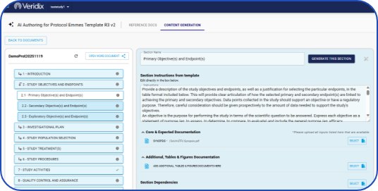
Curated reference documents. Generate full documents or individual sections at a time - giving you full control over AI-generated content, formatting, and flow.
AI Drafting Agent
Template-based content generation. Generate sections in minutes, iterate by giving the Drafting Agent additional instructions - powered by a library of agent skills and giving you control over outputs.
AI Quality Control Agent
Ensure quality from the start. Every AI draft runs behind-the-scenes quality checks, with the ability for a user to trigger additional document-level onsistency checks.
Integrated Microsoft Word Workflow
Write, review and collaborate directly in Word. No more exporting or reformatting - your entire workflow now lives in a single environment. Tag collaborators, comment inline, track changes and finalize documents with full traceability.
One Solution for Documents Across Study Lifecycle
Currently supports:

Proven in Practice
“Document Authoring is already driving faster timelines and higher-quality outputs for our teams, and across Emmes’ internal teams.”
Leading CRO
Team leader
See Document Authoring in Action
Experience how AI can elevate your writing workflows - schedule a demo today.

